时间:2021-09-23 11:10
一年一度的七夕情人节又来到了。去年盛行孤寡青蛙,今年单身狗们还能创造出什么新梗呢?其实比起电灯泡们,神经环路示踪分析中还有更亮的荧光蛋白。
实验中我们常使用嗜神经病毒,对神经环路结构和功能进行追踪分析。其中单纯疱疹病毒1型(HSV)的H129株被广泛应用于顺行示踪,但其仍受基因表达水平较低和毒性较高的限制,通常需要短时间内取样以避免动物死亡,并通过免疫组化以放大荧光信号。
为了解决低灵敏度的问题,已经使用了几种不同的方法以增强荧光蛋白的表达,包括使用强启动子、表达调控因子或将荧光蛋白编码基因的几个拷贝插入病毒基因组中。然而,这些方法受HSV本身的限制,只增加了有限数量的转基因拷贝,限制了荧光蛋白的表达。
苏鹏博士2020年发表的文章《High-brightness anterograde transneuronal HSV1 H129 tracer modified using a Trojan horse-like strategy》中应用特洛伊木马样策略,整合HSV和AAV复制系统,增强了HSV外源基因表达水平,可以更方便和灵活地应用于神经元顺行示踪。

图1. DOI:10.1186/s13041-020-0544-2
首先,作者通过在H129株基因组引入AAV复制系统(ITRs和Rep)构建嵌合病毒,以增强外源基因(EGFP)的表达,标记为H8。与常规HSV(H1)的区别,体内外结果均显示,H8荧光基因组拷贝数和蛋白表达水平更高。另外在小鼠的VTA中分别注射H8和H1,3天后采集全脑成像。脑切片证实H8病毒的EGFP表达明显高于H1,即使肉眼的差异也很明显。这说明,H8病毒在脑内注射后可有效且高荧光强度地标记神经元。

图2. H8神经环路标记
基于野生型H129构建的重组H1常被用作神经元顺行示踪剂,那么改造后的H8还能如H1一样完成顺行示踪吗?
为了验证这一怀疑,作者在小鼠V1(初级视觉皮层)注射了H1和H8。三天后收集小鼠大脑进行成像。如图3可见,均在V1及其下游(上丘SC、外侧膝状体核LGN和尾状核CPU)均发现GFP+细胞体。因此,H8也可以作为顺行示踪剂。

图3. H1和H8在体顺行示踪
随后,作者又进一步分析了H8在更短的时间内对神经环路标记的效率,发现:
注射24h后,仅在注射位点观察到荧光;38h后,在许多离散的大脑区域均观察到荧光,包括AON、ORB、AI、Pir、SI、PVN、AMY、ENT、HIP、VTA等;48h后,在更广泛的大脑区域检测到荧光,包括LHA、DRN和大脑皮层的大部分。
因此,H8能够沿着神经环路通过多个突触顺行传递,感染和标记大脑皮层。

图4. H8在不同时间框架内追踪NAC输出通路的标记效率
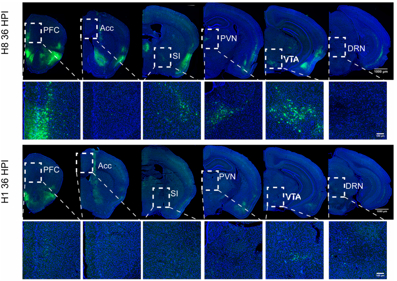
同时,作为对照,作者又检测了注射36h后H1的标记情况。此时,H1也标记了所有被H8标记的大脑区域,但EGFP的荧光强度远低于H8。

图5. H1和H8注射36h后对大脑皮层标记情况比较
值得关注的是,感染H8的小鼠行为变化更温和,这可能是因为H8的复制速度比H1更慢,并且诱导的炎症反应也较弱。
# 总结 #
H8是一种亮度更高、毒性更低、使用更灵活的神经环路顺行示踪剂,可在无免疫染色情况下被利用。
# 划重点啦 #
布林凯斯最新测试结果显示,基于上述HSV株改造的产品HSV-HBEGFP具有相较于常规HSV更高的亮度。

并且这么亮、效果这么好的HSV-HBEGFP还参与本次七夕折扣活动哦~~
现货产品两件以上,限时享受7.7折直降!!
赶快来联系小布吧!!

